Szőlő, 2. oldal
Termékek rendezése
Termékek listája
1db
Magnélküli, Fehér, Rezisztens, Korai
Név: MILLENIUM
Szín: Fehér
Érési idő: augusztus 2-ik fele
Magnélküli: IGEN – magnélküliség III-ik osztálya
Rezisztens: Igen
Magnélküli szőlő perifériákon található helyekre. Régi fát igényel.
A szőlőfürtök súlya akár 1000g
Darazsak nem támadják.
Név: Sarada UA
Származási helye: Ukrajna
Színe: Kék
Íze: Harmóniás
Érési ideje: augusztus eleje (ultrakorai szőlőfajta)
Magnélküli: Nem
Rezisztens a szőlő peronoszpórával szemben. Lisztharmattal szemben közepesen ellenálló.
Virág: Kétivarú virág (Hermafrodita)
A szem súlya: 8-12g
A szőlő súlya: 400g - 1200g
Buja növésű. Nagy szőlőfürt, nagy bogyó
Fagyálló -24°C fokig
A Thompson Seedless (Regal Seedless) egy korai érésű magnélküli szőlőfajta. Nagyon magas termékenység és erőteljes növekedés jellemzi. A szőlőszemek nagyon nagyok, kúposak és közepes sűrűségűek. A bogyók átlagos tömege 6,9-7,5 g. A bogyók fehérek, hosszúkásak és nagyok. A gyümölcshús vastag és ropogós. Íze harmonikus. A fajtára jellemző, hogy rövidre vágva is nagy a terméshozam.
Név: V25-20
Szín: Fehér
A szőlőfürt mérete: 800 - 1200g
A szem mérete: 8-10g
Érés ideje: augusztus közepén
Mag nélküli: Nem
Rezisztens: Igen
Alkalmasság pergolákra. 500 m tenger feletti magasság
Buja növésű. Nagy szőlőfürt, nagy bogyó
Szabadgyökerű palánta – oltva. Az egyik legjobb szőlőfajta
Fehér, Korai, Rezisztens, 500 m tengerfeletti magasságba is ajánlott
Név: Vostorg
Szín: Fehér
Érési ideje: augusztus közepe
Magnélküli: Nem
Rezisztens: Igen
Pergolákra ajánlott 500 m tengerfeletti magasságig.
Buja növésű. Nagy szőlőfürt, nagy szőlőbogyók.
A fénykép 385 m tengerfeletti magasságban készült, ebben a magasságban egy héttel később érik.
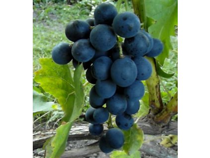
Kék szőlő, Nagyon kedvelt fajta, kiváló ízű.
A Rosfor szőlő érdekessége, hogy más szőlőfajtáktól eltérően, később rügyezik / sarjad, ez előnyt jelent a tavaszi fagyok idején.
Érési ideje: Augusztus
Szőlőfürt súlya: 600g - 900g
Szőlőszem súlya: 8-10g
Íze: Harmóniás
Fagyállóság: -23°C-ig
